- 2.064 m²
Unieke eigendom te Wieze, villa + 2 bouwgronden!
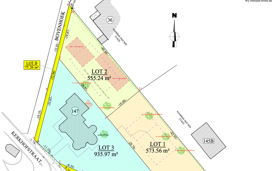
Unieke eigendom te Wieze bestaande uit een prachtige villa en 2 bouwgronden voor een open bebouwing.
Ben je op zoek naar een karaktervolle woning met uitstraling, ruimte en nog extra bouwmogelijkheden? Dan is deze prachtige villa (voormalige dokterswoning) uit 1930 exact wat je zoekt. Met een immense bewoonbare oppervlakte van +/- 430 m² biedt deze woning talloze mogelijkheden: een riante gezinswoning, B&B, praktijkruimte of zelfs een tweewoonst.
Info project:
Lot 1: bouwgrond: 573 m2
Lot 2: bouwgrond: 555 m2 (6% BTW mogelijk)
Lot 3: villa: 935 m2
Dit alles is gelegen op een perceel van ongeveer 21 are, nabij centrum Wieze, op wandelafstand van scholen en openbaar vervoer. Bovendien is de woning uitstekend gelegen ten opzichte van de verbindingswegen richting Aalst en omgeving.
Neem alvast een kijkje via de virtuele rondleiding!
Interesse in deze unieke eigendom? Contacteer ons via steffen@immotijl.be of 053 42 46 99.
In detail
Financieel
- prijs
- € 895.000
- opbrengsteigendom
- nee
Ligging
- omgeving school
- ja
- omgeving openbaar vervoer
- ja
- omgeving winkels
- ja
- omgeving sportcentrum
- ja
Comfort
- aansluiting riolering
- ja
- aansluiting water
- ja
Terrein
- perceel opp.
- 2.064,00 m²
Technieken
- elektriciteit
- ja
Stedenbouwkundige informatie & ruimtelijke ordening
- g-score
- A
- p-score
- A






