Nieuw
Bouwgrond
Moorselbaan 377, 9300 Aalst
€ 182.000
- 1.198 m²
Bouwgrond geschikt voor halfopen bebouwing te Aalst!
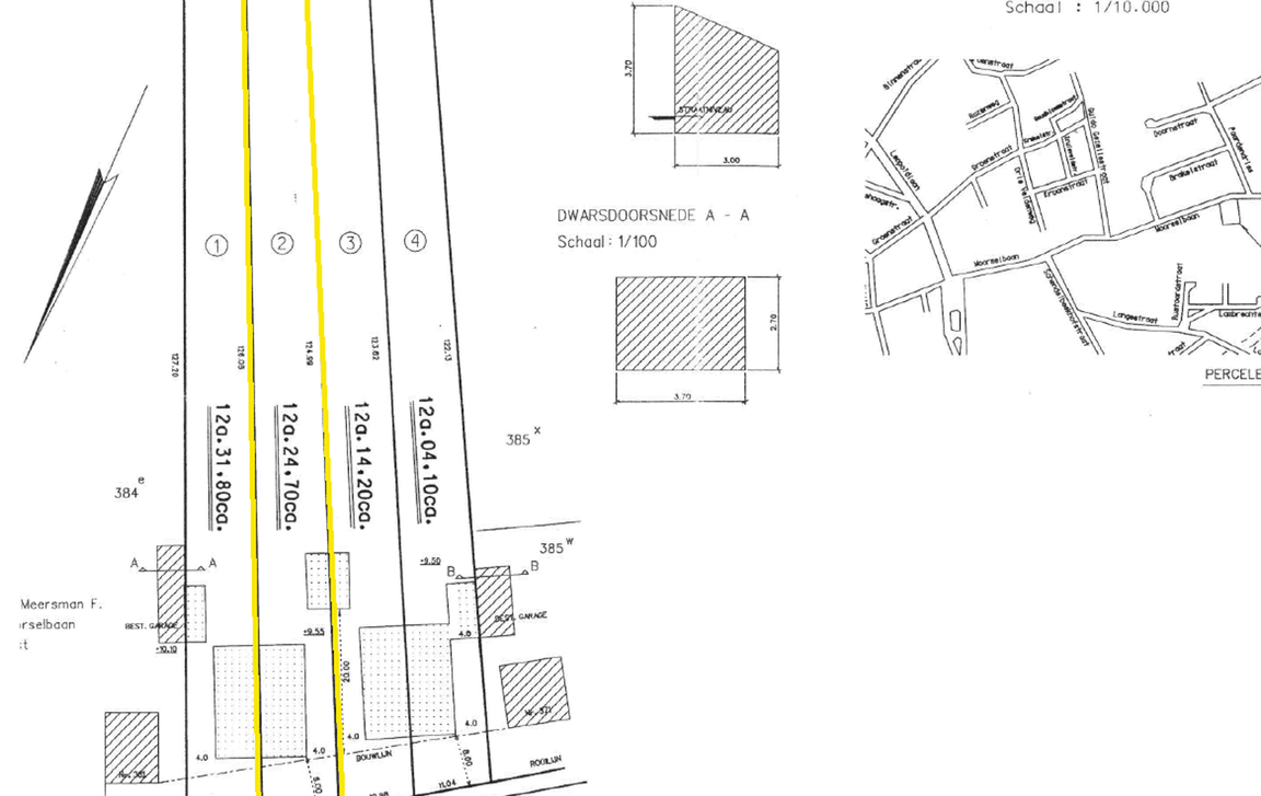
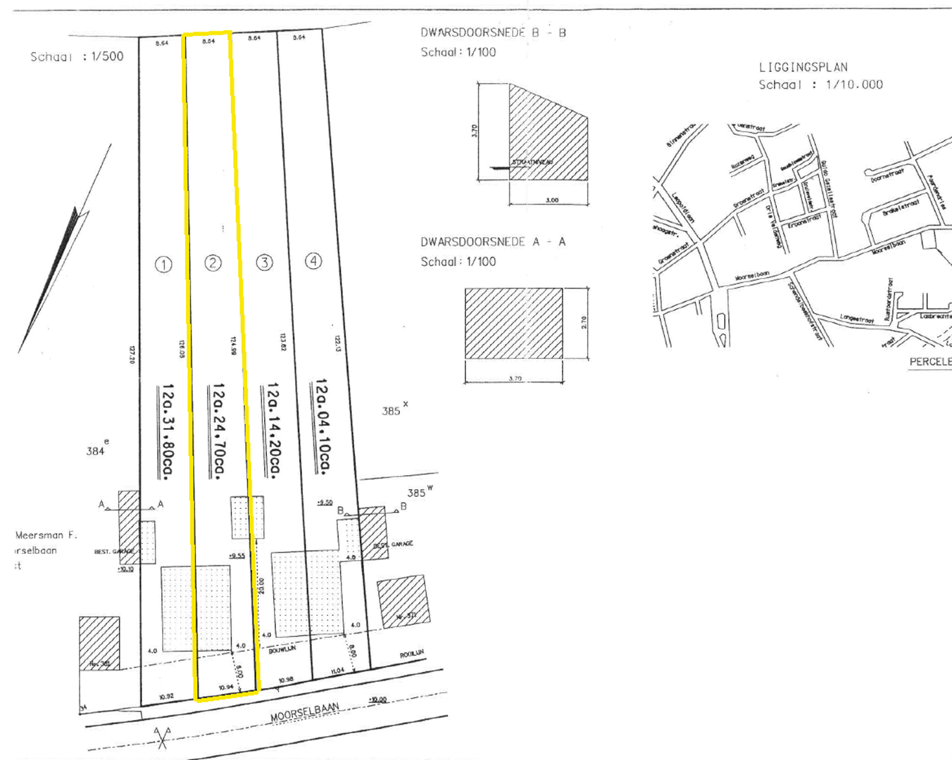
Dit perceel, gelegen in een goedgekeurde verkaveling, heeft een oppervlakte van zo'n 1198 m² en is geschikt voor het creëren van een halfopen woning. De bouwdiepte bedraagt 18 meter op het gelijkvloers en 12 meter op de verdieping, rekening houdend met zijdelingse bouwvrije strook van 4 meter. Garage/bijgebouw van max. 40m² is mogelijk.
Volgende voorschriften zijn o.a. van toepassing: max. 1 verdieping toegestaan, voorzien van een zadel- of schilddak met helling van 45°, maximale kroonlijsthoogte bedraagt 6 meter en tuinhuis is toegestaan. Meer info omtrent de bouwmogelijkheden te verkrijgen op kantoor.
Deze grond bestaat uit 2 perceelnummers; de grond vooraan is gelegen in woongebied met perceelscore A (geen overstroming gemodelleerd) en de grond achteraan bevindt zich in parkgebied met perceelscore C.
Interesse? Neem contact op met Tijl via tijl@immotijl.be of bel 0477 44 86 11 voor meer informatie!
Volgende voorschriften zijn o.a. van toepassing: max. 1 verdieping toegestaan, voorzien van een zadel- of schilddak met helling van 45°, maximale kroonlijsthoogte bedraagt 6 meter en tuinhuis is toegestaan. Meer info omtrent de bouwmogelijkheden te verkrijgen op kantoor.
Deze grond bestaat uit 2 perceelnummers; de grond vooraan is gelegen in woongebied met perceelscore A (geen overstroming gemodelleerd) en de grond achteraan bevindt zich in parkgebied met perceelscore C.
Interesse? Neem contact op met Tijl via tijl@immotijl.be of bel 0477 44 86 11 voor meer informatie!
In detail
Financieel
- prijs
- € 182.000
- beschikbaarheid
- Vanaf akte
- onder btw stelsel
- nee
- kadastraal inkomen
- € 12
- opbrengsteigendom
- nee
Ligging
- ligging
- Stadsrand
- omgeving school
- ja
- omgeving openbaar vervoer
- ja
- omgeving winkels
- ja
- omgeving autosnelweg
- ja
- omgeving sportcentrum
- ja
Terrein
- perceel opp.
- 1.198,00 m²
- terreindiepte
- 124,00 m
Downloads
Stedenbouwkundige informatie & ruimtelijke ordening
- bestemming
- Woongebied
- bouwvergunning
- nee
- verkavelingsvergunning
- ja
- voorkooprecht
- nee
- vonnissen
- nee
- kadaster opp.
- 1198
- bodemattest
- ja