In optie
Bouwgrond
Peisegemstraat 100, 1785 Merchtem
€ 296.790
- 761 m²
Unieke bouwgrond op landelijke locatie te Peizegem!
Fraai perceel bouwgrond HOB te koop in Peizegem, in een landelijke en groene omgeving, centrale ligging tussen Buggenhout en Merchtem. Bovendien op zeer korte afstand gelegen van Buggenhout bos.
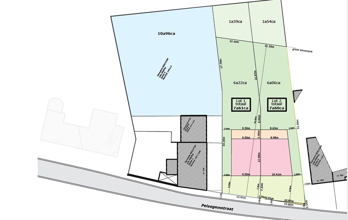
Oppervlakte perceel is 7a61 (aangeduid als ‘lot 1’ op het plan in bijlage).
De kavel is geschikt voor een knappe halfopen bebouwing met een groen uitzicht achteraan. Perceelbreedte is 12m61, waardoor een mooie gevelbreedte van 9m50 mogelijk is.
Bouwen kan tot een diepte van 15m op het gelijkvloers en 12m op de verdieping. Nokhoogte maximaal 13,10m. Losstaande bijgebouwen zijn mogelijk cfr. vrijstellingenbesluit van de Vlaamse Overheid.
Aankoopverplichting van extra stuk tuingrond van 10a96ca (82.200 euro)
Meer info en verkavelingsvoorschriften: sofie@immotijl.be of 052 690 691
Oppervlakte perceel is 7a61 (aangeduid als ‘lot 1’ op het plan in bijlage).
De kavel is geschikt voor een knappe halfopen bebouwing met een groen uitzicht achteraan. Perceelbreedte is 12m61, waardoor een mooie gevelbreedte van 9m50 mogelijk is.
Bouwen kan tot een diepte van 15m op het gelijkvloers en 12m op de verdieping. Nokhoogte maximaal 13,10m. Losstaande bijgebouwen zijn mogelijk cfr. vrijstellingenbesluit van de Vlaamse Overheid.
Aankoopverplichting van extra stuk tuingrond van 10a96ca (82.200 euro)
Meer info en verkavelingsvoorschriften: sofie@immotijl.be of 052 690 691
In detail
Financieel
- prijs
- € 296.790
- beschikbaarheid
- Vanaf akte
- opbrengsteigendom
- nee
Ligging
- ligging
- Landelijk
- omgeving school
- ja
- omgeving winkels
- ja
Terrein
- perceel opp.
- 761,00 m²
Stedenbouwkundige informatie & ruimtelijke ordening
- g-score
- C
- p-score
- C








