- 760 m²
Rustig gelegen perceel voor halfopen bebouwing!
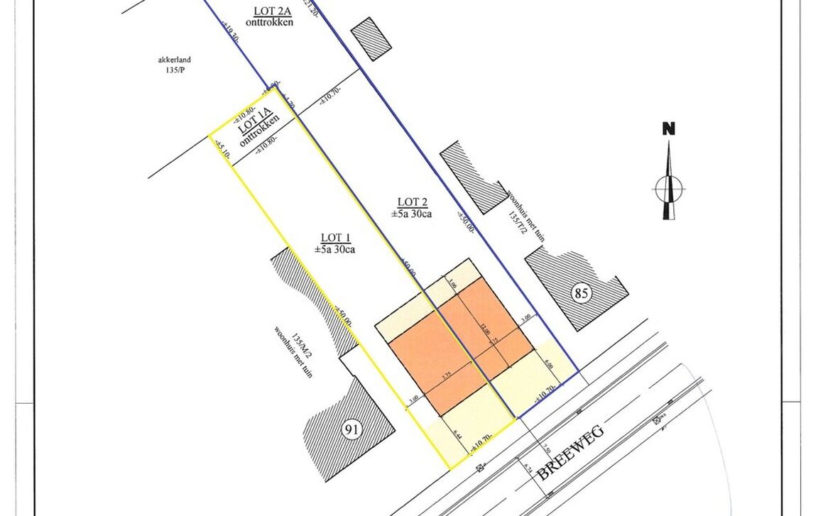
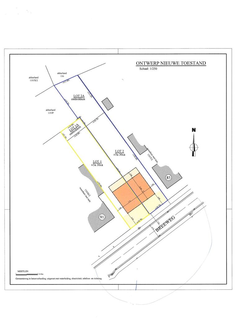
Dit bouwperceel van ongeveer 760 m² (zie plan en luchtfoto, lot 2) is gelegen in een goedgekeurde verkaveling en biedt een uitstekende kans voor het realiseren van een halfopen bebouwing in een aangename en rustige omgeving, op een vlot bereikbare locatie nabij het dorpscentrum.
De maximale bouwdiepte bedraagt 15 meter op het gelijkvloers en 12 meter op de verdieping, gemeten vanaf de verplichte voorbouwlijn, rekening houdend met een zijdelingse bouwvrije strook van 3 meter. Het hoofdgebouw mag worden voorzien van een plat (kroonlijsthoogte van max. 6,5 m) of hellend dak(kroonlijsthoogte van max. 12m).
Daarnaast dient de woning een parkeerplaats en een fietsenstalling te hebben.
Het naastgelegen perceel (lot 1) is eveneens beschikbaar!
Op zoek naar een mooi gelegen bouwgrond met potentieel? Neem gerust contact op met Tijl via tijl@immotijl.be of bel 0477 44 86 11 voor meer info of een bezoek ter plaatse.
In detail
Financieel
- prijs
- € 169.000
- beschikbaarheid
- Vanaf akte
- onder btw stelsel
- nee
- opbrengsteigendom
- nee
Ligging
- omgeving school
- ja
- omgeving openbaar vervoer
- ja
- omgeving winkels
- ja
Terrein
- perceel opp.
- 760,00 m²
- terreindiepte
- 71,00 m
Downloads
Stedenbouwkundige informatie & ruimtelijke ordening
- bestemming
- Woongebied
- bouwvergunning
- nee
- verkavelingsvergunning
- ja
- voorkooprecht
- nee
- vonnissen
- nee
- p-score
- A





