Nieuw
Bouwgrond
Steenweg op Dendermonde 62, 1745 Opwijk
€ 199.000
- 1.251 m²
Bouwgrond Open Bebouwing, 12a51, groen uitzicht!
Bouwgrond Open Bebouwing, 12a51, groen uitzicht!
Zeer mooi perceel bouwgrond, geschikt voor het oprichten van een open bebouwing, met een totale oppervlakte van 12a51ca. Centrale locatie tussen Nijverseel en Mazenzele - met een uitstekende verbinding naar Asse-Brussel en Dendermonde-Aalst - in combinatie met een groen uitzicht achteraan!
Gevelbreedte vooraan 8 meter, achtergevel kan tot 9m53 breedte hebben. Maximale bouwdiepte gelijkvloers is 15 meter, maximale bouwdiepte op het verdiep is 12 meter. Twee volwaarde bouwlagen + dak zijn mogelijk. Materialen zelf te kiezen. Kroonlijsthoogte: 6,4 meter. Zowel hellend dak als plat dak is toegestaan.
Kelder is toegelaten. Zijn ook mogelijk: carport (niet links, wel aan de rechter kant), pergola en zwembad of zwemvijver. Bijgebouw is mogelijk tot 40m².
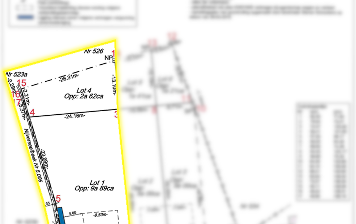
Betreft lot 1 + lot 5 op het opmetingsplan in bijlage (samen 1.251 vierkante meter). Contacteer ons voor meer info of indien u de volledige voorschriften en opmetingsplannen wenst te ontvangen: tom@immotijl.be of 052690691.
Zeer mooi perceel bouwgrond, geschikt voor het oprichten van een open bebouwing, met een totale oppervlakte van 12a51ca. Centrale locatie tussen Nijverseel en Mazenzele - met een uitstekende verbinding naar Asse-Brussel en Dendermonde-Aalst - in combinatie met een groen uitzicht achteraan!
Gevelbreedte vooraan 8 meter, achtergevel kan tot 9m53 breedte hebben. Maximale bouwdiepte gelijkvloers is 15 meter, maximale bouwdiepte op het verdiep is 12 meter. Twee volwaarde bouwlagen + dak zijn mogelijk. Materialen zelf te kiezen. Kroonlijsthoogte: 6,4 meter. Zowel hellend dak als plat dak is toegestaan.
Kelder is toegelaten. Zijn ook mogelijk: carport (niet links, wel aan de rechter kant), pergola en zwembad of zwemvijver. Bijgebouw is mogelijk tot 40m².
Betreft lot 1 + lot 5 op het opmetingsplan in bijlage (samen 1.251 vierkante meter). Contacteer ons voor meer info of indien u de volledige voorschriften en opmetingsplannen wenst te ontvangen: tom@immotijl.be of 052690691.
In detail
Financieel
- prijs
- € 199.000
- opbrengsteigendom
- nee
Terrein
- perceel opp.
- 1.251,00 m²





